
Заступник міського голови Івано-Франківська Михайло Смушак повідомив про плани змінити організацію руху на вулиці Січових Стрільців.
Як відомо, ділянка від вул. Незалежності до вул. Є. Коновальця двостороння, а інші відрізки вулиці — односторонні, розповідає ПІК.
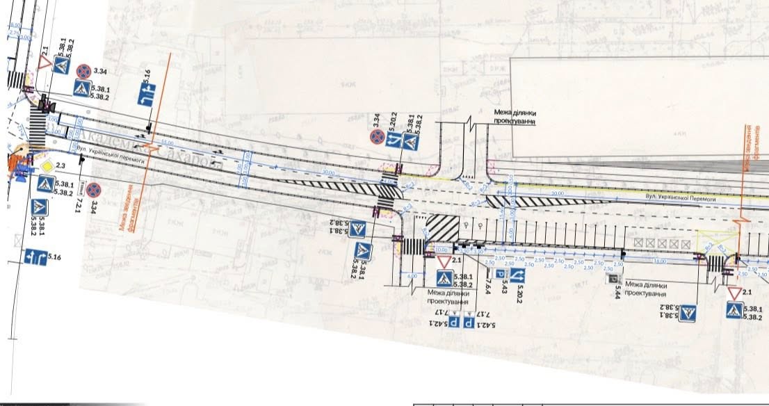
Міська влада разом із фахівцями ТОВ «Урбан Прогрес» змоделювала різні варіанти організації руху і дійшла висновку, що оптимальним рішенням буде зробити Січових Стрільців односторонньою на всій протяжності від Незалежності до Г. Мазепи.
При цьому пропонується:
-
Облаштувати виділену смугу для громадського транспорту та велосипедистів по всій протяжності;
-
Забезпечити рух автобусів без постійних заторів.

Змінять маршрути 10 автобусів, які зараз повертають з вул. Є. Коновальця на Січових Стрільців: 41, 21, 30, 45, 48, а також сільські маршрути 47, 56, 57, 58, 59. Новий маршрут для них:
- Є. Коновальця → Української Перемоги → Мельника → Незалежності → далі за існуючим маршрутом.
На вул. Мельника облаштують дві зупинки: біля Пенсійного фонду та біля «Квіткового ринку».
«Загалом від такого рішення виграють усі: автобуси рухатимуться швидше та безпечніше, а автомобілісти не стоятимуть у заторі разом із громадським транспортом», — зазначив Михайло Смушак.
Зміни планують реалізувати паралельно з перенесенням світлофорів на вул. Січових Стрільців.
Міська влада запрошує жителів обговорити концепцію та нову схему для окремих маршрутів громадського транспорту.
Читайте також:
- В Івано-Франківську встановлять 60 додаткових камер відеоспостереження
- У Франківську в районі “Епіцентру” встановили стовпчики-делініатори (ФОТО, СХЕМА)
- У Франківську встановлюють нові вказівники на перейменованих вулицях
- На одній із вулиць Франківська встановлюють «берлінські подушки» та планують нові світлофори





